Лот
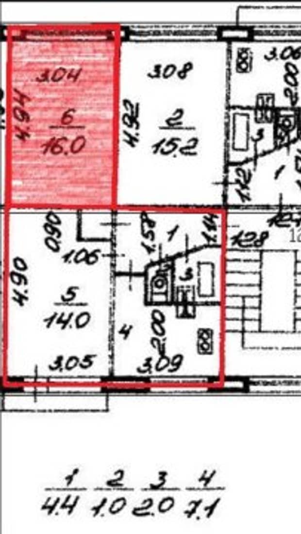
16/30 долей в праве общей долевой собственности на квартиру, что соответствует комнате № 6, площадью 16 кв.м. в квартире по адресу: г. Санкт-Петербург, ул. Пражская, д. 37, корп. 2, лит. А, кв.128, состоящей из 2-х комнат, общей площадью 44,5 кв.м., ...
Описание
2 700 000,00 ₽
135 000,00 ₽
(шаг повышения)
135 000,00 ₽
(размер зададка)
Идёт прием заявок
Номер торгов
Дата размещения
16.02.2026
Тип торгов
Аукцион
Регион
г. Санкт-Петербург
Начало приёма заявок
16.02.2026 12:00
Конец приёма заявок
25.03.2026 23:59
Секция торгов
Банкротство
Суд
Арбитражный суд города Санкт-Петербурга и Ленинградской области
Дело
А56-85303/2024
Ссылки:








